구름많음 서울 13 °C
OFF

실시간 인기검색어

도시해녀 3
11,836.8km
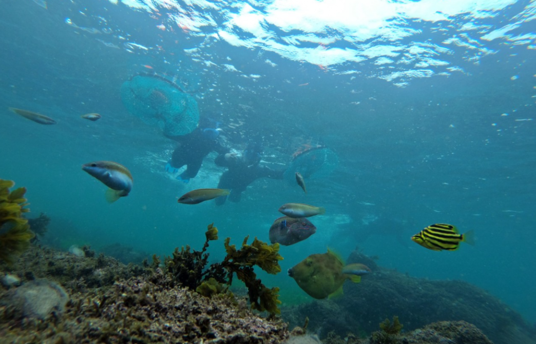
1일 해녀 체험(교육-장비제공-기념촬영-바닷가이동-장비사용·잠수방법교육-해산물채취-수중촬영-샤워-해물라면시식)
주소 제주특별자치도 제주시 애월읍 하귀미수포길 16-1 (하귀2리)
운영시간 25년 시즌 종료
명소테마 체험
평점 및 리뷰
5 (5 점) 리뷰 1 조회수 533

TODAY : 4   TOTAL : 533

위치정보

다음로드뷰

동영상

블로그

리뷰평점 5

도시해녀와 함께 해녀 체험 진짜 추천입니다!!  
사진은 그 어디보다 많이 찍어주신다는 도시해녀 강사님들입니다!!! 오늘이 제일 추운 날이라고 하셨지만 시야가 미치게 좋았던 날! 너무 재밌었습니다!! 처음 스노쿨 장비를 써봤는데 물 하나도 안 먹고 재미있게 했어요!! 모든 직원분들, 강사님들이 다 친절하시고 유머러스 하셔서 재밌었어요ㅋㅋ 소라, 물고기, 문어, 성게까지 진짜 볼 거 많고 알찼어요! 물질 후 라면은 국룰!!(김치가 훔쳐오고 싶은맛) 6월말이 젤 좋다고 해서 또 가려구요!!!
2025-05-09 13:39:51 리뷰 신고하기작성자 신고하기
5점 (5점)
찬성 12표 반대 13표
의견쓰기
<<
이전
1
다음
>>
내용
평가점수
점수를 선택하셔야 의견등록이 됩니다. 도배방지키
 86403998
보이는 도배방지키를 입력하세요.
첨부파일
해당 브라우져는 이미지 드래그 업로드가 지원하지 않는 브라우져입니다.
본 영역을 클릭하여 파일을 선택하시거나 , 하단의 사진추가를 클릭하여 이미지를 업로드 해주세요.
(최대 10장의 사진업로드가 가능합니다.)
본 영역에 파일을 드래그하거나 클릭하여 파일을 선택하세요.
(최대 10장의 사진업로드가 가능합니다.)
사진추가
닫기

메뉴

등록된 메뉴사진이 없습니다.

개요

스크랩 6 조회 1,066
비회원스크랩불가
제주특별자치도 제주시 애월읍 일주서로 7055 (하귀2리)
0507-1412-4182
스크랩 3 조회 503
비회원스크랩불가
제주특별자치도 제주시 애월읍 일주서로 7089 (하귀1리)
0507-1479-6466
스크랩 0 조회 94
비회원스크랩불가
제주특별자치도 제주시 애월읍 하귀로21길 6 (하귀2리)
064-713-7070
스크랩 0 조회 136
비회원스크랩불가
제주특별자치도 제주시 애월읍 하귀14길 11-1 (하귀1리)
064-712-9642
스크랩 0 조회 110
비회원스크랩불가
제주특별자치도 제주시 애월읍 하귀로 118 (하귀1리)
0507-1480-3677